Listing Agent: Will Klopp
Listing Office: Compass
Description
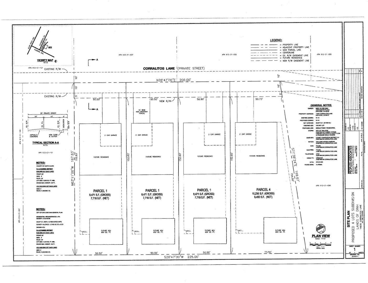
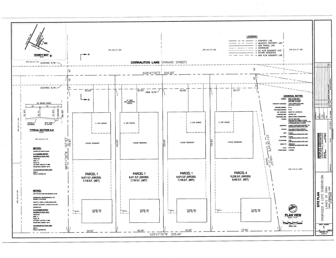
An application to subdivide the 37,230 sf (.7495 Ac.Net) lot into four parcels was returned 5/11/2021 The City of San Jose determined the proposed project of a four lot subdivision conforms to the prevailing existing neighborhood character and would be consistent with the City of San Jose's General Plan, thus granting an applicant to file for a final map - owner will not provide a final map. The Corralitos lot is adjacent to the San Jose Country Club neighborhood in the East foothills of San Jose just above Alum Rock. Very easy access - when driving up Alum Rock Avenue, turn right onto Fleming, the second street on your left side is Corralitos Lane. The lot is Surrounded by nicer homes. Substantial upside! Lots appear able to support ADU/guest unit, see photo of a proposed map a civil engineer drew identifying the possible location of 4 homes plus a location for the accessory structure.
Location
Listed By
Similar Listings
No similar listings found
Unfortunately, we don't have any similar listings at the moment. Please remove or change some of the selected filters.

The data relating to real estate for sale on this website comes in part from the Internet Data Exchange program of the MLSListings™ MLS system. Real estate listings held by brokerage firms other than UDW Holdings, INC. are marked with the Internet Data Exchange icon (a stylized house inside a circle) and detailed information about them includes the names of the listing brokers and listing agents. The broker providing this data believes the data to be correct, but advises interested parties to confirm all information before relying on it for a purchase decision. The information being provided is for consumers' personal, non-commercial use and may not be used for any purpose other than to identify prospective properties consumers may be interested in purchasing. © MLSListings Inc. All rights reserved. http://www.mlslistings.com/ Updated: 23rd April, 2026 7:52 AM (UTC)




